Informaţii despre
| Cod RAN | 76816.01 | |
|---|---|---|
| Localizare | judeţ Galaţi, România | |
| Categorie | structură de cult/religioasă | |
| Tip | biserică; necropolă | |
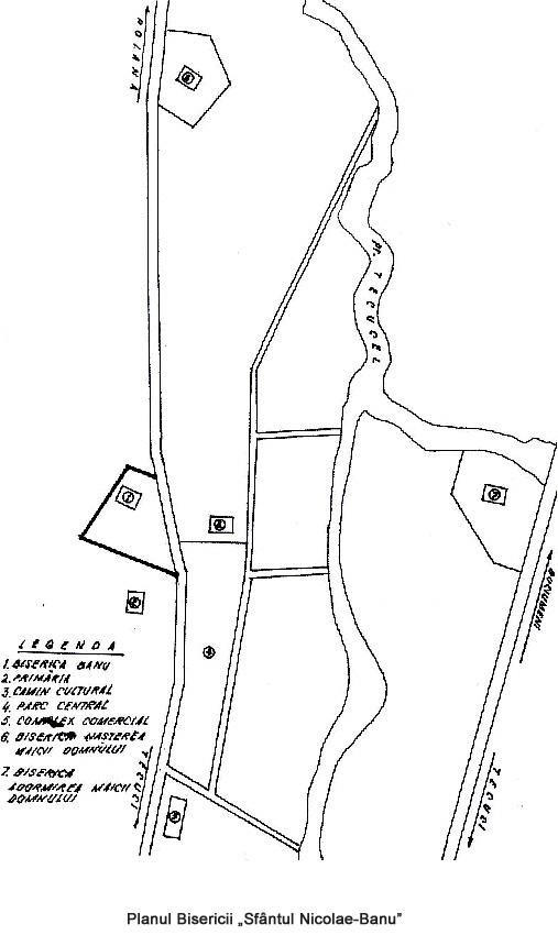
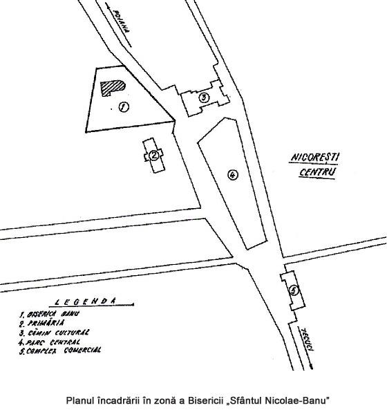
| Reper | lângă primărie, la vest de pârâul Tecucel care străbate satul prin mijlocul său |
| Cod RAN | 76816.01 | |
|---|---|---|
| Localizare | judeţ Galaţi, România | |
| Categorie | structură de cult/religioasă | |
| Tip | biserică; necropolă | |
| Reper | lângă primărie, la vest de pârâul Tecucel care străbate satul prin mijlocul său |